Harbour map for project cargo handling
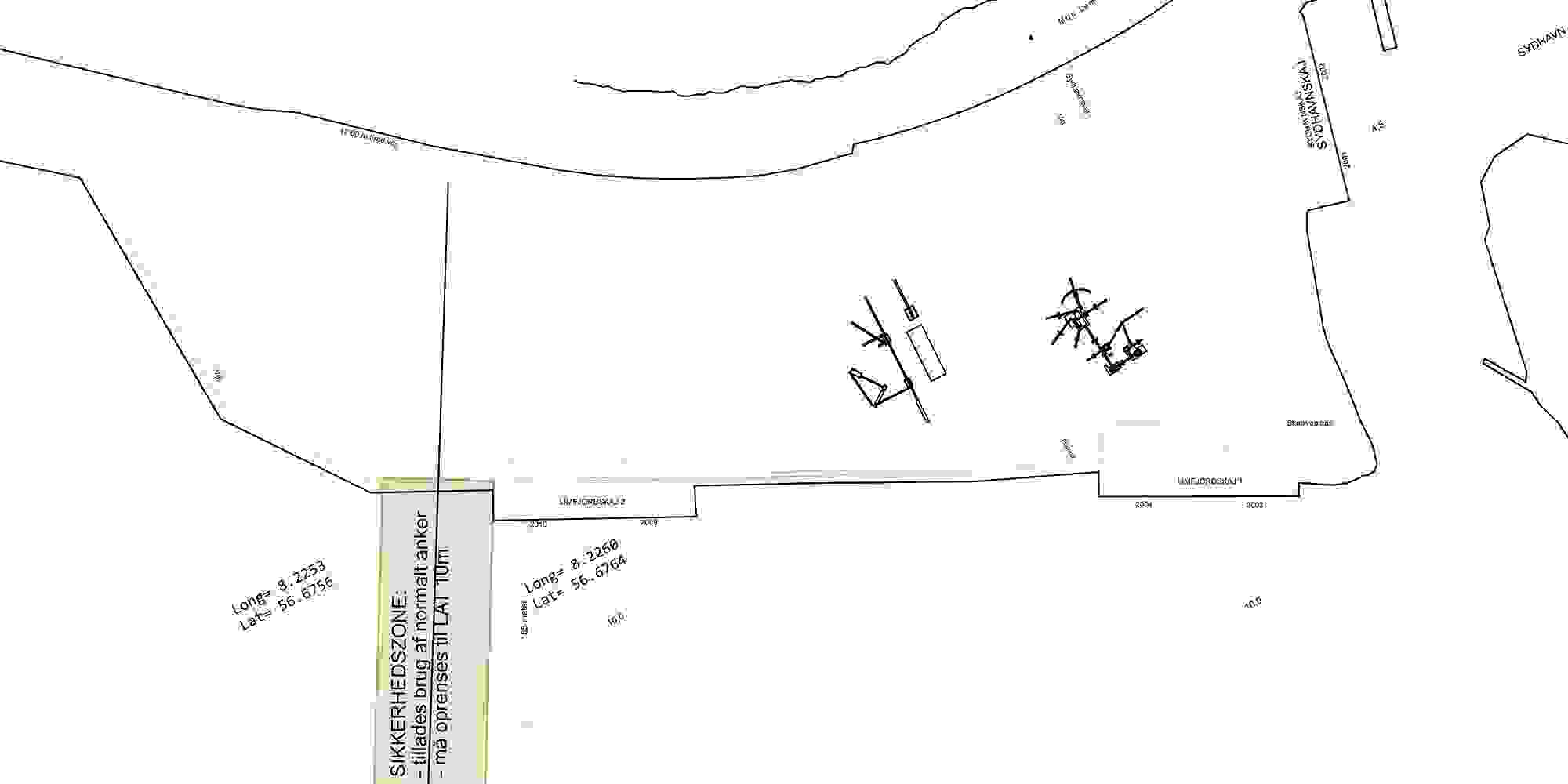
Harbour map showing the Limfjordskaj II project quay facilities in Sydhavnen. These are facilities with high load capacity for handling very heavy lifting.

Harbour map showing the Limfjordskaj II project quay facilities in Sydhavnen. These are facilities with high load capacity for handling very heavy lifting.
